Typhoon Pepito Philippines Update

R.Mgmotor 42 views
Typhoon Pepito Philippines Update

Typhoon Pepito Update: What You Need to Know

Hey everyone! Let’s dive straight into the latest Typhoon Pepito update for the Philippines . We’re talking about a serious storm here, guys, and staying informed is absolutely crucial. Pepito, like many typhoons before it, has the potential to bring significant disruption, so understanding its path, intensity, and the areas most at risk is your first line of defense. We’ll be breaking down the latest meteorological information, from wind speeds to rainfall predictions, and discussing the impact this could have on daily life, infrastructure, and safety across the archipelago. It’s not just about knowing that a typhoon is coming, but how it’s likely to affect specific regions and what preparatory steps you should be taking. We’ll also touch upon the historical context of typhoons in the Philippines, highlighting why preparedness is a year-round commitment, not just a reaction to an immediate threat. This isn’t about fear-mongering, but about empowerment through knowledge. So, gather ‘round, and let’s get up to speed on Typhoon Pepito.

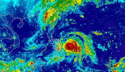
Tracking Typhoon Pepito’s Path

Understanding the path of Typhoon Pepito is absolutely vital for anyone in the Philippines, especially those in its projected trajectory. Meteorologists are constantly monitoring its movement, using sophisticated tracking systems to predict where it will make landfall and its subsequent track across the islands. This information is typically disseminated through official channels like PAGASA, but also widely shared by news outlets and social media. We’ll be looking at the current coordinates, the speed at which it’s moving, and the projected direction. These elements collectively determine which provinces and cities are likely to experience the brunt of the storm’s fury. It’s a dynamic situation, meaning the path can change, sometimes quite rapidly, due to various atmospheric factors. This is why continuous updates are so important. For instance, a slight shift in its course can mean the difference between a direct hit and a glancing blow for a particular area. We’ll discuss the typical forecasting models used and the inherent uncertainties involved, emphasizing the need to heed official warnings. Remember, when we talk about the path, we’re not just talking about the eye of the storm, but also the widespread areas that will be affected by strong winds, heavy rains, and storm surges. Staying glued to reliable sources for the latest updates on Typhoon Pepito’s path will help you make informed decisions about safety and evacuation.

Intensity and Wind Speeds

Beyond just its path, the intensity of Typhoon Pepito is a critical factor in understanding the potential damage it can cause. Typhoons are categorized based on their sustained wind speeds, and Pepito’s current classification gives us a clue about its destructive power. We’ll be looking at the maximum sustained winds and gusts, which directly correlate with the level of threat. Higher wind speeds mean a greater risk of structural damage to homes and buildings, uprooted trees, and widespread power outages. Understanding these wind speeds helps authorities issue appropriate storm signal warnings, which are essential for public safety. For example, a Signal No. 1 might mean light to moderate damage is possible, while a Signal No. 4 or 5 indicates catastrophic damage is likely. We’ll also discuss the concept of the eyewall, the most intense part of the storm where the strongest winds are found, and how its passage over an area can bring about severe conditions. Furthermore, we’ll consider the potential for the storm to intensify or weaken as it approaches land, which can be influenced by factors like sea surface temperatures and interaction with landmasses. Keeping track of the Typhoon Pepito intensity is key to appreciating the scale of the challenge and the importance of preparedness measures.

Rainfall and Flooding Risks

One of the most pervasive and dangerous aspects of any major typhoon is the heavy rainfall and flooding risk it brings. Even if a region isn’t directly in the path of the strongest winds, the torrential downpours associated with Typhoon Pepito can lead to significant inland flooding, flash floods, and dangerous landslides. We’ll be examining the predicted rainfall amounts, often measured in millimeters, which can be substantial over a short period. These amounts are crucial for understanding the potential for river systems to overflow and for low-lying areas to become inundated. The Philippine archipelago, with its varied topography, is particularly susceptible. Mountainous regions can experience devastating flash floods and landslides, while coastal and urban areas often face severe inundation due to overwhelmed drainage systems and rising sea levels exacerbated by storm surges. We’ll discuss the importance of monitoring river levels and the warnings issued by local disaster management agencies. For residents in flood-prone areas, understanding the Typhoon Pepito rainfall predictions and associated flooding risks is paramount for timely evacuation and safety. It’s not just about the immediate impact of the rain, but the lingering effects of saturated ground and swollen waterways that can pose threats long after the storm has passed.

Impact on the Philippines

When a typhoon like Pepito makes its presence felt, the impact on the Philippines is multifaceted, affecting communities, economies, and the environment. We’re talking about the immediate aftermath – damage to homes, infrastructure like roads and bridges, and disruption to essential services such as power and communication. For many families, the loss of their homes and livelihoods can be devastating, leading to displacement and long-term recovery challenges. We’ll also consider the economic repercussions, including the impact on agriculture, with potential crop destruction, and on businesses, which may be forced to close temporarily or permanently. The tourism sector can also take a significant hit. Beyond the tangible damage, there’s the psychological toll on affected communities, grappling with fear, loss, and the arduous process of rebuilding. It’s important to remember that the Philippines is highly vulnerable to these extreme weather events due to its geographical location and the increasing effects of climate change. Understanding the potential impact of Typhoon Pepito on the Philippines helps us appreciate the need for robust disaster preparedness and response mechanisms, as well as the importance of long-term resilience-building efforts.

Evacuation and Safety Precautions

As Typhoon Pepito approaches, evacuation and safety precautions become the absolute priority for residents in affected areas. Authorities will issue specific advisories regarding mandatory or voluntary evacuations, particularly for those in coastal zones, low-lying areas, and regions identified as high-risk for landslides or storm surges. Heeding these warnings promptly is not a suggestion; it’s a life-saving measure. We’ll discuss the importance of having an emergency kit ready, which should include essentials like food, water, a first-aid kit, flashlights, and important documents. Families should have a communication plan in place to check on each other, especially if they are separated. For those who need to evacuate, understanding the designated evacuation centers and the safest routes to get there is crucial. It’s also important to secure homes as much as possible before leaving, boarding up windows and bringing in outdoor items that could become projectiles in strong winds. We’ll emphasize the importance of staying indoors and away from windows during the storm, and what to do in case of power outages. Remember, Typhoon Pepito safety precautions are designed to minimize risk and ensure the well-being of everyone. Always follow the guidance of local disaster risk reduction and management offices (DRRMOs).

Disaster Relief and Support

Following the passage of Typhoon Pepito, the focus shifts towards disaster relief and support for affected communities. This involves a coordinated effort from government agencies, non-governmental organizations (NGOs), and individual volunteers. We’ll be looking at the types of assistance typically provided, which can range from immediate needs like food, water, and temporary shelter to longer-term support for rebuilding homes and restoring livelihoods. The role of organizations like the Department of Social Welfare and Development (DSWD) is critical in coordinating these relief efforts. We’ll also discuss how the public can contribute, whether through donations of goods, financial contributions, or volunteering their time. Understanding the process of accessing aid and the specific needs of the affected areas is important for effective relief operations. This phase is often challenging, requiring sustained effort and resources to help communities recover and build back stronger. Typhoon Pepito disaster relief efforts are a testament to the resilience and solidarity of the Filipino spirit, showcasing how communities come together in times of crisis.

Preparing for Typhoon Season

Typhoon season in the Philippines is a recurring reality, and understanding how to prepare for events like Typhoon Pepito goes beyond immediate storm responses. It’s about adopting a proactive stance throughout the year. We’ll discuss the importance of reinforcing homes, especially in high-risk areas, to better withstand strong winds and heavy rains. This could involve simple measures like ensuring roofs are secure or more substantial upgrades. Furthermore, we’ll touch upon disaster risk reduction education within communities, empowering individuals with knowledge about evacuation procedures, emergency preparedness, and first aid. Having a family disaster plan is crucial – discussing where to meet if separated, how to communicate, and who is responsible for specific tasks during an emergency. Maintaining an emergency kit stocked with non-perishable food, water, medication, and essential supplies is a fundamental step. We’ll also highlight the importance of staying informed about weather patterns and official advisories, not just when a storm is imminent, but as a regular practice. Preparing for Typhoon Pepito and future storms means building resilience not just in structures, but in our communities and our collective awareness. It’s about fostering a culture of preparedness that can significantly mitigate the devastating effects of these natural disasters.

Staying Informed: Reliable Sources

In the age of information overload, knowing where to get accurate and timely updates during a typhoon is absolutely critical. For Typhoon Pepito updates , relying on official sources is paramount. The Philippine Atmospheric, Geophysical and Astronomical Services Administration (PAGASA) is the primary government agency responsible for weather forecasting and issuing typhoon warnings. Their website, social media accounts, and public advisories are the most reliable places to get the latest information on the storm’s track, intensity, and projected landfall. Local government units (LGUs) also play a vital role in disseminating warnings and evacuation orders specific to their jurisdictions. Reputable news organizations, both broadcast and online, are also important for keeping the public informed, but it’s always best to cross-reference their reports with official PAGASA data. Social media can be a double-edged sword; while it can provide real-time updates, it’s also a breeding ground for misinformation. Therefore, critically evaluating the source of any information shared online is essential. We’ll emphasize the importance of having multiple reliable sources bookmarked and actively checking them for the latest Typhoon Pepito news . This proactive approach to staying informed is a cornerstone of effective disaster preparedness.

Community Preparedness and Drills

Beyond individual and family preparedness, community preparedness for typhoons is a powerful force multiplier in disaster situations. When a community works together, its ability to respond to and recover from events like Typhoon Pepito is significantly enhanced. We’ll discuss the importance of community-based disaster risk reduction and management (CBDRRM) programs. These programs often involve regular drills, such as evacuation drills, to ensure that residents are familiar with procedures and know where to go. Identifying vulnerable individuals within the community – such as the elderly, persons with disabilities, and those living in precarious housing – and creating plans to assist them is a crucial aspect of community resilience. Establishing communication networks within the community, perhaps through local leaders or volunteer groups, can ensure that warnings reach everyone, even those who may not have access to traditional media. Sharing resources, like generators or tools, can also be beneficial. Typhoon Pepito community preparedness initiatives foster a sense of collective responsibility and mutual support, making everyone safer when disaster strikes.

Conclusion: Resilience in the Face of Pepito

In conclusion, while Typhoon Pepito presents a significant challenge to the Philippines, the nation’s experience with typhoons has fostered a remarkable degree of resilience. We’ve explored the critical aspects of tracking its path, understanding its intensity, and anticipating the severe rainfall and flooding risks. The multifaceted impact on communities and the economy underscores the importance of robust disaster management strategies. Crucially, we’ve highlighted the life-saving measures of evacuation and safety precautions , the vital role of disaster relief and support , and the year-round necessity of preparing for typhoon season . Staying informed through reliable sources and strengthening community preparedness are not just reactive measures; they are proactive investments in safety and survival. The Philippines, with its proactive approach and the unwavering spirit of its people, continues to demonstrate its capacity to face these natural adversities head-on. Let’s all commit to staying vigilant, informed, and prepared, ensuring that together, we can navigate the challenges posed by Typhoon Pepito and emerge stronger.